Outstanding Ocean View Building Lot- Priced to sell. Very special lot with nice sloping grade and a big water view. Suits a one or two story home. Use the Rolling Hills team or the builder of your choice on whatever time line you prefer to build the house of your dreams in the fast emerging community of $1M+ homes. Rolling Hills Estates is well known for 24/7 security, excellent paved roads, resident beach access and strong building guidelines to protect your investment. Sunsets over the ocean and stargazing is amazing. Located just 10 minutes north of Cabo on Highway 19 to Todos Santos.
Property Details
Price:
$179,900
MLS #:
24-4797
Status:
Active
Beds:
0
Baths:
0
Type:
Land
Subdivision:
Rolling Hills
Neighborhood:
pacificsouth
Listed Date:
Aug 1, 2025
Schools
Interior
Exterior
Financial
Map
Contact Us
Mortgage Calculator
Community
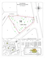
- AddressBlock 32 Lot 19 Rolling Hills Beach View Lot Pacific BCS
- SubdivisionRolling Hills
- CityPacific
Subdivisions in Pacific
- Agua Blanca
- Ahorcadita
- Alvar
- Avalon
- Beach Estates
- Centro-Todos Santos
- Cerritos
- Cerritos 2097
- Cerritos Dreams
- Cerritos Sunrise
- Cerritos-PacifCondos
- Cerritos/Pesca-Genrl
- Ciudad Cerritos
- Copala
- Coronado
- Desert Moon
- Diamante Dunes Residence
- Dunes Residence Club
- El Cardonal
- El Posito
- Elias Calles
- Elias Calles-Gen
- Five Diamonds Rolling Hills
- Gallo 64
- Golf Villa
- Golf Villas
- Golf Villas-Rancho San Lucas
- Huerta Hermosa
- La Aguja
- La Cachora
- La Maquina
- La Pastora
- La Poza
- La Vibra
- Las Brisas- Todos Santos
- Las Brisas-Esencia
- Las Casas
- Las Casitas
- Las Playitas
- Las Terrazas
- Las Tunas
- Legacy Founders Estates
- Los Jardines
- Mavila
- Migaloo
- Migrino
- Migrino-Gen
- Monte Cristo Estates
- Ocean Club Residences
- Old Lighthouse Club Hacienda
- Pacific Bay
- Palm Beach
- Pescadero
- Playas Pacificas
- Playitas Norte
- Pueblo Pescadero
- Punta Lobos
- Rancho Nuevo
- RanchoLasMargaritas
- Rolling Hills
- Salara Residences
- Salt Breeze
- San Cristobal
- San Sebastian
- Serenity at Cerritos
- Soleado
- St Regis Residences
- Sunset Hill
- Surfside Residences
- The Cliff at Cerritos
- The Grove
- The Tequila Ranch
- The Villas-Rcho Sn Lucas
- Todos Santos Nth-Gen
- Todos Santos-General
- Tortuga Cerritos
- Tuna Pescadero
- Villas de Cerritos Beach
- Villas de Todos Santos
Property Summary
- Located in the Rolling Hills subdivision, Block 32 Lot 19 Rolling Hills Beach View Lot Pacific BCS is a Land for sale in Pacific, BCS, . It is listed for $179,900 and features 0 acres. To schedule a showing of MLS#24-4797 at Block 32 Lot 19 Rolling Hills Beach View Lot in Pacific, BCS, contact your Giovanni G. Giammarco agent at +1 (310) 573-9400 x 103.
Similar Listings Nearby

NOM 247: *Conversion to PESOS subject to change. The offered price is in DOLLARS (US Currency) and in accordance with article 8 of the monetary law, the final price for recordation purposes will be converted into PESOS resulting from the official exchange rate on the date payment is due. In accordance with NOM 247, prices shown in DOLLARS can be converted into PESOS by accessing the following link and performing the corresponding arithmetic multiplication per the current exchange rate. https://www.banxico.org.mx/tipcamb/main.do?page=tip&idioma=en
*Conversión a PESOS sujeta a cambios. El precio de oferta es en DÓLARES (moneda de los EUA) y de conformidad con el artículo 8 de la ley monetaria en vigor, el precio oficial a registrar en la escritura será el de PESOS que resulte del tipo de cambio oficial en la fecha que el pago sea obligatorio. De conformidad con la NOM 247, los precios en DÓLARES se pueden consultar en PESOS mediante la multiplicación aritmética del precio mostrado en DÓLARES por el tipo de cambio en vigor para solventar operaciones en dólares moneda de Los EUA. https://www.banxico.org.mx/tipcamb/main.do?page=tip&idioma=sp
*Conversión a PESOS sujeta a cambios. El precio de oferta es en DÓLARES (moneda de los EUA) y de conformidad con el artículo 8 de la ley monetaria en vigor, el precio oficial a registrar en la escritura será el de PESOS que resulte del tipo de cambio oficial en la fecha que el pago sea obligatorio. De conformidad con la NOM 247, los precios en DÓLARES se pueden consultar en PESOS mediante la multiplicación aritmética del precio mostrado en DÓLARES por el tipo de cambio en vigor para solventar operaciones en dólares moneda de Los EUA. https://www.banxico.org.mx/tipcamb/main.do?page=tip&idioma=sp
Block 32 Lot 19 Rolling Hills Beach View Lot
Pacific, BCS


















