Hermoso terreno rodeado de montañas y con vistas espectaculares. Se encuentra en una ubicación estratégica, cerca de la ciudad pero en una zona tranquila y apartada del bullicio urbano. La propiedad cuenta con una amplia extensión de tierra, ideal para la construcción de viviendas, mientras que una parte está destinada a áreas verdes, jardines, y senderos para caminar. Además, posee agua y electricidad disponible, así como una fácil accesibilidad. Todo esto convierte este terreno en una excelente oportunidad de inversión para crear una comunidad residencial exclusiva y con un gran potencial de revalorizacion. Beautiful land surrounded by mountains and with spectacular views. It is located in a strategic location, close to the city but in a quiet area away from the urban hustle and bustle. The property has a large expanse of land, ideal for housing construction, while a part is set aside for green areas, gardens, and walking paths. In addition, it has water and electricity available, as well as easy accessibility. All this makes this land an excellent investment opportunity to create an exclusive residential community with great revaluation potential.
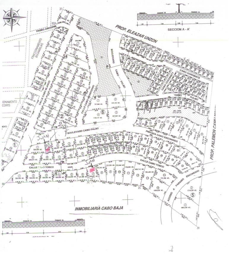
Located in the Sunset subdivision, Via De Lerry El Lote Cabo San Lucas BCS is a Land for sale in Cabo San Lucas, BCS, . It is listed for $361,000 and features 0 acres. To schedule a showing of MLS#23-2653 at Via De Lerry El Lote in Cabo San Lucas, BCS, contact your Giovanni G. Giammarco agent at +1 (310) 573-9400 x 103.
Disclaimer: All data relating to real estate for sale on this page comes from the Broker Reciprocity (BR) of the Baja California Sur. Detailed information about real estate listings held by brokerage firms other than Giovanni G. Giammarco include the name of the listing broker. Neither the listing company nor Giovanni G. Giammarco shall be responsible for any typographical errors, misinformation, misprints and shall be held totally harmless. The Broker providing this data believes it to be correct, but advises interested parties to confirm any item before relying on it in a purchase decision. Copyright 2026. Baja California Sur MLS. All rights reserved.
NOM 247: *Conversion to PESOS subject to change. The offered price is in DOLLARS (US Currency) and in accordance with article 8 of the monetary law, the final price for recordation purposes will be converted into PESOS resulting from the official exchange rate on the date payment is due. In accordance with NOM 247, prices shown in DOLLARS can be converted into PESOS by accessing the following link and performing the corresponding arithmetic multiplication per the current exchange rate. https://www.banxico.org.mx/tipcamb/main.do?page=tip&idioma=en
*Conversión a PESOS sujeta a cambios. El precio de oferta es en DÓLARES (moneda de los EUA) y de conformidad con el artículo 8 de la ley monetaria en vigor, el precio oficial a registrar en la escritura será el de PESOS que resulte del tipo de cambio oficial en la fecha que el pago sea obligatorio. De conformidad con la NOM 247, los precios en DÓLARES se pueden consultar en PESOS mediante la multiplicación aritmética del precio mostrado en DÓLARES por el tipo de cambio en vigor para solventar operaciones en dólares moneda de Los EUA. https://www.banxico.org.mx/tipcamb/main.do?page=tip&idioma=sp